LOADING...
जमैका पहुंचा 2025 का सबसे ताकतवर तूफान 'मेलिसा', हवा की रफ्तार 280 किमी प्रति घंटा 
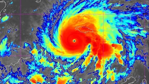
जमैका पहुंचा साल का सबसे शक्तिशाली तूफान मेलिसा (तस्वीर: एक्स/@TylerJRoney)

जमैका पहुंचा 2025 का सबसे ताकतवर तूफान 'मेलिसा', हवा की रफ्तार 280 किमी प्रति घंटा 

लेखन गजेंद्र
Oct 28, 2025
01:08 pm

क्या है खबर?

इस साल का सबसे शक्तिशाली तूफान 'मेलिसा' कैरेबियाई देश जमैका की तरफ बढ़ रहा है। यह अभी तक हैती और डोमिनिकन गणराज्य में तबाही मचा चुका है। अमेरिकी मौसम वैज्ञानिकों ने चेतावनी दी है कि तूफान मंगलवार शाम तक जमैका के तट से टकरा जाएगा। इस दौरान 40 इंच तक बारिश होगी और 13 फीट ऊंची तूफानी लहरें उठेंगी। मेलिसा तूफान की रफ्तार 282 किलोमीटर प्रति घंटा पहुंच गई है, जिससे यह 2025 का सबसे भयानक तूफान बन गया है।

तूफान

मेलिसा श्रेणी 5 का तूफान बना

मीडिया रिपोर्ट्स के मुताबिक मेलिसा श्रेणी 5 का तूफान बना है, जो सबसे शक्तिशाली तूफान की श्रेणी है। विशेषज्ञों के मुताबिक, तूफान का न्यूनतम केंद्रीय दबाव 909 मिलीबार से घटकर मंगलवार को 901 मिलीबार हो गया है। हालांकि, दबाव जितना कम होगा, तूफान उतना शक्तिशाली होगा। इससे पहले आए तूफान कैटरीना का न्यूनतम दबाव 902 मिलीबार था, जिससे मेलिसा 2005 में लुइसियाना में तबाही मचाने वाले तूफान से भी ज्यादा खतरनाक हो गया है।

तबाही

कितनी तबाही मचाएगा तूफान?

मेलिसा की आहट से जमैटा में अब तक 3, हैती में 3 और डोमिनिकन गणराज्य में 1 व्यक्ति की मौत हो चुकी है। शनिवार तक मेलिसा की रफ्तार 120 किलोमीटर प्रति घंटा था, जो 24 घंटे में बढ़कर 225 किलोमीटर प्रति घंटा हो गई है। सोमवार रात को रफ्तार 280 किलोमीटर प्रति घंटा थी। जमैका में इसका सबसे बुरा असर पड़ने की संभावना है। यहां भारी बारिश से बाढ़ और भूस्खलन का खतरा पैदा होगा।

Advertisement

ट्विटर पोस्ट

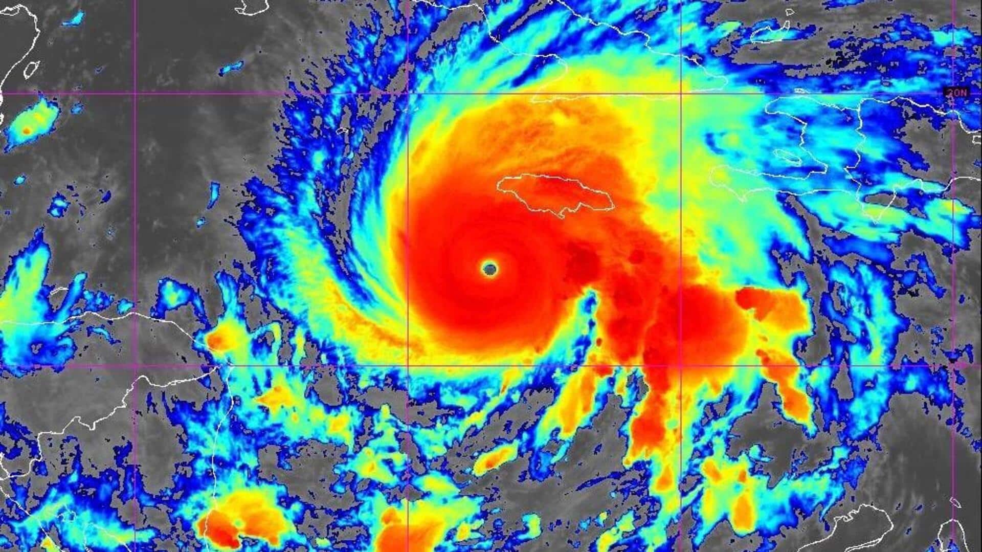
मेलिसा तूफान का बीच का हिस्सा

Advertisement